
目次
1.赤ら顔とは|まず“原因の診断”が必要です
当院の赤ら顔治療の考え方
赤ら顔、顔の紅潮・発赤の改善に画期的な治療法はありません。顔の赤みの症状を改善していくためには、患者様自身が自分の皮膚症状と肌質について、正しい認識を持つことが最も重要なことであると私たち山手皮膚科クリニックは考えています。当院では、皮膚炎(酒さ・酒さ様皮膚炎、脂漏性湿疹、アトピー性皮膚炎など)に対する治療はおこなっていません。皮膚炎ではない赤ら顔の症状について、患者様に異常ではなく、年齢や性別(身体的な性)、個体差により生じうる自然な状態であることを説明し、治療を行わない場合と、今よりも美しい状態にすることを目的とした美容医療を提供する場合があります。
人の皮膚に生じる赤い色のもとは、血管の中を流れる赤血球に含まれる酸化ヘモグロビンです。人の皮膚は外側から表皮・真皮・皮下組織の3層構造をしています。通常表皮に血管は存在しません。表皮は平均0.2mm(ティッシュ1枚くらい)の厚さです。表皮の最も上層(外側の層)を角層といいます。角層の働きとして特に重要なのは、バリア機能と水分保持機能です。
顔面全体や両頬の赤みの症状でお悩みの患者様の皮膚表面をよく見ると、角層がないあるいは角層形成が未熟で、表面がつるつるしたお肌の方が多くいらっしゃいます。過剰な角層は皮膚の質感の悪化や、くすみ、ニキビの原因となりますが、角層がない皮膚は紫外線や物理的刺激によるダメージを受けやすく、少しの刺激で皮膚の刺激感や発赤が生じやすくなります。角層を正常な状態に保つために最も重要なことは、摩擦により角層を取り除きすぎないことです。また、角層が薄いということは、真皮に存在する血管や、血行が良くなった時の真皮の紅潮が透けて見えやすい状態になっていると言えます。
赤ら顔、顔の紅潮・発赤の改善と予防には、医療行為のみで解決することは絶対にできません。その症状に対する適切なスキンケアと紫外線防御に加え、繰り返しになりますが、患者様自身が自分の皮膚症状と肌質について、正しい認識を持つことが最も重要なことであると私たちは考えています。
治療目標と最終目標
治療の目標は異常な状態・症状がない、正常な構造・状態にある皮膚を、現在よりも美しい(見栄えが良い)状態にすることです。
現在よりも美しい(見栄えの良い)状態というのは、患者様の主観、その時代の流行によって変化するものです。
最終的に各患者様が医療や美容施術、化粧品に過度に期待・依存することなく、ご自身のお肌に対する正しい認識と、お肌を健やかに保つ方法を獲得することを目標としています。
治療方針 ※重要です。当院での治療をお考えの方はご一読ください。
①問診・視診・ダーモスコープ検査・写真撮影(ダーモカメラ・VISIA)による診察を行い、今の皮膚の状態について説明します。
- 原則として、初回来院時の症状について、疾患名や症状名をお伝えします(診断と言います)。
- 他施設処方の医薬品やレチノール配合化粧品等を使用中の場合、初診時に疾患名が判断(診断)できないことがあります。
②当院での治療をご希望の場合、当院通院期間中において、顔面の症状に対しておこなっている他施設での美容医療、エステ、一部の化粧品は全て中止していただきます。
- 顔面への美容医療の中止(特にダーマペン、ダーマローラー、ピーリング、レーザートーニング、ピコトーニング、フラクショナルレーザー)
- 顔面へのエステ施術全般の中止
- トレチノイン、レチノール配合化粧品の使用の中止
③初診時の皮膚状態によっては、ご提案できる治療法がない場合があります。
④赤ら顔、顔の紅潮・発赤の診療において当院が行わないこと。
- 他院での診断や治療についての評価・意見をお求めになられてもお答えできません。
- 患者様からのご希望がありましても、当院の治療方針に反する施術はいたしません。
- 日常のスキンケアにおいて、当院取扱製品以外の効果・効能の説明、使用方法についての助言はできません。
- 赤ら顔のご相談でご来院中の患者様につきましては、顔面の他の症状に対する治療(レーザー脱毛、ニキビ治療を除く)は並行して行いません。
- 混合診療となるため、当院では保険治療薬の処方はできません。混合診療とは、保険請求を行った医療行為の診療費が100%患者様負担となるものです。
当院通院期間中のスキンケアについて
- 顔面へのマッサージやエステ、フォトフェイシャルなど他の美容皮膚科治療はお控えください。
- メイク落とし・基礎化粧品によるスキンケア時は、コットンを使用しないでください。
- 化粧水は各メーカー推奨の量を指先にとり、顔全体につけるように伸ばしてください。重ねづけ、手のひらでのパッティング、ハンドプレスはしないでください。角層のない敏感な皮膚に触れば触るほど(摩擦が加わるほど)、未熟な角層が除去され続け正常な角層の形成を妨げます。
- パックの使用はお控えください。皮膚表面を美容液に浸すと角層がふやけ、パック後に行うスキンケアによる摩擦で角層が除去されやすくなります。
- 洗顔は洗顔料をよく泡立てて、泡で洗うようにしてください。また、メイク落としや洗顔で顔に触れる時間は、それぞれ長くとも30秒程度にしてください。
- 洗顔後に水分を拭き取る際には、軽く押さえ拭きするようにしてください。タオルを皮膚にごしごしこすりつけてはいけません。
- 入浴時にシャワーを使用する際は、シャワーの水流を顔に直接当てないようにしてください。洗顔時には手のひらに溜めた水で洗い流してください。
- 天候にかかわらず、日中外出時には必ずサンスクリーン剤(日焼け止め)を使用してください。
2.当院で治療できる症状/できない症状
当院で治療の対象
毛細血管拡張、ニキビ・ニキビ跡の赤み、皮膚菲薄化に伴う赤み、血色が透けやすい肌質の見え方調整、皮脂による毛穴の炎症による赤みなど
当院で治療の対象外
酒さ・酒さ様皮膚炎、アトピー性皮膚炎、脂漏性皮膚炎、湿疹などの皮膚炎による赤み
酒さは難治性の皮膚炎で、刺激回避が基本です。当院の美容施術は“皮膚炎のない健康な皮膚”が前提であり、第一選択の治療ではないため施術を行いません。
診察で酒さが疑われる場合、美容施術は実施せず適切な受診の方向性をご案内します。
3.主な原因とセルフチェック
クイックセルフチェック
- 温度差・入浴・飲酒で赤みが一時的に強くなる
- 頬や鼻に細い赤い線(毛細血管)が透けて見える
- ニキビができた所や治った跡が、点状に赤く残る
- 長年の摩擦(こすり洗い・タオルでゴシゴシ)の癖がある/肌が薄く敏感
- もともと色白で血色が透けやすい
- 皮脂でテカリ・ざらつきがあり、毛穴まわりが赤い
- ヒリヒリ・熱感など“炎症の自覚”があり、刺激で増悪する(※酒さ・酒さ様皮膚炎を疑うサイン)
傾向の目安
- 上から1・2 → 毛細血管拡張の可能性
- 3が中心 → ニキビ・ニキビ跡に伴う赤み
- 4が中心 → 皮膚菲薄化(摩擦・加齢)
- 5が中心 → 肌質(血色が透けやすい)
- 6が中心 → 皮脂による毛穴の炎症
- 7 → 酒さ・酒さ様皮膚炎の可能性(当院では治療をおこなっておりません)
4.診断と評価|視診・ダーモスコープ・画像評価
問診・視診・ダーモスコープ、必要に応じて画像撮影(ダーモカメラ、VISIA)で、血管の形態・分布、炎症や菲薄化の有無を確認します。
“とりあえず施術”は行いません。※“とりあえず施術”とは、赤ら顔の治療にきた方を(詳細な診察をおこなわず)一目見て、選択肢を考えずに”Vビームでの治療”と決めてしまうことなどです。
問診・視診
赤ら顔の治療は、問診と視診(目で見て症状を観察すること)が極めて大切です。問診では症状に応じて、過去や現在のにきびの様子、洗顔方法、紫外線対策などを尋ねることがあります。これらは赤ら顔の原因の推定に役立つことがあります。
視診で赤ら顔のタイプを推定します。まず、肉眼で見ます。次にダーモスコープやダーモカメラといった機器をつかって治療に役立つ情報を探します。
ダーモスコープによる視診
皮膚疾患の診断では、ダーモスコープがよく用いられます。肉眼では見えない皮下の変化、病変の細部を観察できます。ダーモスコープは赤ら顔の診断にも有効です。肉眼で見て「顔が赤い」のが赤ら顔ですが、皮膚ではさまざまなことが起こっています。赤ら顔の原因は顔の擦りすぎでおこる皮膚の菲薄化、炎症、毛細血管拡張、にきびによる炎症など様々です。ダーモスコープによる観察で何かおこっているかを診ます。

ダーモカメラ
適切な治療の選択にはダーモカメラが有用です。
ダーモスコープでみた皮膚の状況を写真に残すのがダーモカメラです。いままで経験した赤ら顔治療より私はダーモカメラの画像が治療方法の選択に役立つことを発見しました。
「赤ら顔の治療はVビーム」という概念が皮膚科医のなかにもあります。かって、私もそう思っていました。Vビームの導入当初は赤ら顔はすべてVビームで改善すると思って治療していました。ところが、治療の効果が出る人、出ない人さまざまななのです。なぜだろうと考え、ダーモスコープで皮膚の様子を観察して、ダーモカメラの写真とVビームの治療効果を検討することにしました。すると、ダーモスコープ、ダーモカメラの所見と治療の効果の違いにはパターンがあることがわかりました。いまでは、ダーモスコープ、ダーモカメラの所見は治療方法の選択に役立っています。

赤ら顔のパターンを解析
いままで当院で赤ら顔の治療をおこなわれた方のダーモカメラ画像と治療効果を解析すると、毛細血管の拡張はおもに3つのパターンに分かれると考えています(下の写真の2)~4))。ベタっとした赤み(微細な毛細血管が拡張)と細い毛細血管拡張で分けています。

1) 正常の皮膚:赤みのない正常な皮膚の様子です。
2) びまん性の赤み:木の枝のような毛細血管拡張がなく、微細な毛細血管が拡張して、ベタっとした赤みになっています。このタイプではVビームⅡ、Vフェイシャルよりフォトフェイシャルでの治療が効果が期待できます。ニキビによる炎症のでもびまん性の赤みが見られます。レーザーフェイシャルでニキビの炎症と新生を抑え、必要に応じポテンツァ ニードルRFで質感・赤みの改善を狙います。
3) 細い毛細血管がある:木の枝のように分かれた細い毛細血管拡張が確認できる皮膚です。VビームⅡやVフェイシャルでの治療で効果が期待できます。
4) びまん性の赤みと細い毛細血管の両方がある:2)と3)が同時に存在するタイプです。このタイプはVビームⅡ/Vフェイシャルに、レーザーフェイシャル、フォトフェイシャルやポテンツァ ニードルRFのいずれかを加えて治療を検討します。
ダーモカメラでわかること
ダーモカメラでは、毛細血管の様子以外にも、皮膚の菲薄化(薄くなっている状態)、肌質、皮脂の状態がわかります。
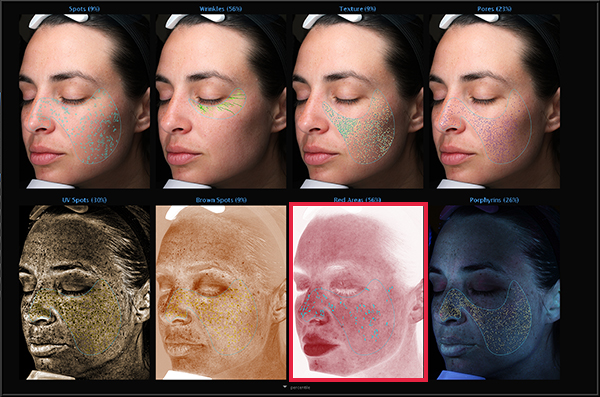
VISIA
VISIA(ビジア)は顔の皮膚画像解析カウンセリングシステムです。カラー写真とUV写真の撮影ができ、「シミ」「シワ」「毛穴」「色ムラ」「ポルフィリン」「隠れジミ」「メラニンインデックス」「ヘモグロビンインデックス」の解析ができます。赤ら顔では、「ヘモグロビンインデックス」をつかって、赤ら顔の評価ができます。顔の位置や撮影の明るさが常に一定なので、撮影ポジションのずれによる解析誤差や、前後写真の色調の違いを防止し、圧倒的な再現性を実現します。治療による赤ら顔がどうなっているかを客観的に判断できる機器です。


VISIAでは赤ら顔の治療経過を追います。現在おこなっている治療で赤ら顔は改善しているかを客観的に見ることができます。
経過を見ながら、治療の継続、終了、ほかの治療方法への切り替への参考にします。

5.当院の方針|効果と限界・安全性の考え方
- どの治療でも必ず効果が出るわけではありません。
- 原因が複数ある場合、1つの施術ですべてを解決できないことがあります。段階的にアプローチします。
- 適応外・リスクが高い場合は施術しない判断を含めてご提案します。
6.原因別の治療選択
問診、肉眼、ダーモスコープ、ダーモカメラでの視診で皮膚の赤みの状況を原因が推測されました。これから治療機器の選択です。
毛細血管拡張(VビームⅡ/Vフェイシャル)
真皮にある毛細血管が拡張にした赤ら顔です。ダーモカメラでびまん性の赤み、細い毛細血管が確認できる赤ら顔での治療です。
目標:拡張した表在血管へのアプローチで赤みを目立ちにくくします。
方法:VビームⅡ/Vフェイシャル
注意点:一時的な赤み・腫れ・紫斑、炎症後色素沈着などが現れます。回数・間隔は個別に決定します。

症例

症例説明:30歳代女性 赤ら顔のレーザー治療目的で来院
照射回数3回 来院回数5回(初診時、治療時3回、経過診察1回)
費用の内訳:初診料3,300円,再診料1,650円,Vフェイシャル費用(全顔)19,800円×3,合計62,865円
治療のリスク:照射時に痛み、治療後の発赤
ニキビ・ニキビ跡の赤み(レーザーフェイシャル/ポテンツァニードルRF)
現在ニキビがあり顔に炎症がおきている、前にニキビがひどく炎症が残っているという人の赤ら顔での治療です。
目標:活動性炎症の鎮静・赤みの軽減。
方法:まずレーザーフェイシャルでニキビの炎症と新生を抑え、必要に応じポテンツァ ニードルRFで質感・赤みの改善を狙います。
注意点:活動性が強い時期は機器適応を慎重に判断します。ニキビの保険治療はおこなっておりません。

症例

症例説明:20歳代男性 ニキビ跡の赤みのレーザー治療目的で来院
照射回数3回 来院回数5回(初診時、治療時4回、経過診察1回)
費用の内訳:初診料3,300円,再診料1,650円,レーザーフェイシャル費用(初回)15,000円,2回目以降17,600円×3,合計90,350円
治療のリスク:照射時の痛み、治療後の発赤
皮膚菲薄化(摩擦・加齢)
洗顔やクレンジングで皮膚に摩擦を与えると、表皮が薄くなります。これにより真皮の毛細血管が透けてみる赤ら顔です。表皮が薄くなると刺激に敏感になり真皮に炎症がおこりやすくなります。そうするとさらに赤みが増します。加齢による表皮と真皮の老化もおなじような症状がおこりやすくなります。
目標:刺激回避とバリア回復。
方法:フォトフェイシャルM22とこすらない洗顔・スキンケア、保湿・UV対策。適応あればポテンツァマックーム。
注意点:強い出力は悪化リスク。慎重に進めます。

肌質(血色が透けやすい)
肌質により、通常では目立たない真皮の毛細血管の微細な拡張が赤みとなって目立つことがあります。
目標:“消す”ではなく“目立ちにくくする”。
方法:状況に応じたVフェイシャル・フォトフェイシャルM22など、メイクの工夫、スキンケアでトーンの均一感を目指します。
注意点:完全な消失は約束できません。期待値を合わせます。

皮脂による毛穴の炎症
皮脂は毛をつくりだす毛包に隣り合って、できた皮脂を毛穴から皮膚表面に行き渡らせます。皮脂により肌はうるおっています。しかし、皮脂の産生が多いと皮脂が毛穴につまるようになります。皮脂自体は無害なのですが、皮膚の表面にたまった皮脂は皮膚表面にある表在性菌によって分解されます。分解された物質が炎症をおこす原因となります。皮脂をコントロールし炎症を抑える治療です。
目標:皮脂・炎症コントロール。
方法:スキンケア見直しや必要に応じ外用・内服、補助的にレーザーフェイシャル/ポテンツァニードルRF。
注意点:日常の摩擦と紫外線は悪化要因。当院では皮脂抑制のための外用・内服治療はおこなっておりません。

酒さ・酒さ様皮膚炎について(当院の対象外)
当院では治療をおこなっておりません。酒さ・酒さ様皮膚炎は難治性皮膚炎で、刺激回避が基本。第一選択の治療ではない美容施術は推奨しません。
診察で酒さ・酒さ様皮膚炎が疑われる場合、美容施術は行えません。
7.治療の流れ
-
STEP2
初診・再相談
写真撮影(ダーモカメラ/VISIA)

ダーモカメラとビジアでの撮影 画像解析機で写真撮影をおこないます。
問診・視診・ダーモスコープ

診察イメージ画像 気になる症状をお伺いし、治療の提案をおこないます。原則当日の治療はおこないませんが、当日の予約に空きがある場合に限り、カウンセリングと同日に施術をお受けいただくことが可能です。。
- 前回相談日ならびに前回治療、レーザー治療から1年以上経過している方は、再度診察(再相談)が必要です。
- 必要時、診察前に洗顔または部分的な洗浄をお願いしております。範囲が狭い場合は、診察室でお化粧を拭き取らせて頂くことがあります。
- 当院では、個包装のメイク落とし、洗顔料、化粧水、乳液、日焼け止め、使い捨てタオルとヘアバンドをご用意しております。診察後にお化粧直しをご希望の場合は、患者様ご自身にてご用意願います。
- カウンセリング時に当院からの同日施術への誘導、営業行為は一切ありませんのでご安心ください。
-
-
STEP3
治療の予約
カウンセリング時にご提案させていただいた治療のご予約は、予約サイトからお取りいただけます。
-
STEP4
治療
- 初診・初回相談・再相談の後に皮膚の状況がレーザーに適している状況で治療が可能となります。
- 初回治療の受付時に署名済みの説明同意書をご提出いただきます。※2回目以降の治療の方、前回治療と治療方法、治療後の処置が変更のない方は不要です。
-
8.費用の目安
Vフェイシャル :効果判定まで3回の治療をおこないます。
フォトフェイシャルM22 :効果判定まで2回の治療をおこないます。
レーザーフェイシャル :効果判定まで3~5回の治療をおこないます。
ポテンツァニードルRF :効果判定まで2~3回の治療をおこないます。
プロファイロ :効果判定ま2回おこないます。
9.副作用・リスクと治療後の注意
赤み・腫れ・紫斑・痂皮・圧痛・炎症後色素沈着、稀に瘢痕。日焼け直後や炎症が強い時期は時期調整します。保湿・UV対策・摩擦回避などの術後ケアは個別にご案内。
10.よくある質問(Q&A)
-
酒さ・酒さ様皮膚炎は治療できますか?
当院では施術対象外です。酒さは難治性皮膚炎で刺激回避が基本。当院の美容施術は健康な皮膚が前提のため、行いません。
-
何回で赤みは良くなりますか?
原因と範囲で異なります。単回で実感される方もいれば、複数回を要するケースもあります。
-
日常で悪化させないポイントは?
摩擦を避ける・急な温度差に注意・UV対策・刺激の強いスキンケアを控えることが基本です。
-
治療後、メイクや入浴は?
施術内容と部位により異なるため、その日の術後注意に従ってください。
-
すべての赤みが消えますか?
完全な消失は保証できません。**“目立ちにくくする”**ことを現実的な目標とします。
11.赤ら顔の種類と治療・スキンケア一覧
※施術名をクリックすると説明のページにリンクします。
| 症状 | 赤ら顔となる理由 | スキンケア | 治療 |
|
炎症性ニキビ (赤ニキビ) |
赤ニキビによる赤み ニキビの原因のひとつに皮脂過多があり、皮脂による毛穴の炎症もある。 |
紫外線予防を徹底する。日焼け止め製品を使用する。 さっぱりタイプの洗顔フォームを使用する。 油分を多く含むスキンケア製品を使用しない。 |
※保険治療薬併用を強く推奨 |
|
面皰 (白ニキビ) |
炎症を伴わないニキビではあるが、手で潰したりすることにより皮膚が傷つき赤いニキビ跡ができる | 同上 |
※保険治療薬併用を強く推奨 |
| 赤いニキビ跡 | ニキビが多発または出来ては治ることを繰り返すことにより増えていく。 | 同上 |
※炎症性ニキビある場合は、保険治療薬併用を強く推奨+レーザーフェイシャル3回→ポテンツァ |
| 皮脂過多 | 皮膚常在菌により炎症を引き起こす物質となる。 | 同上 | |
| 菲薄化 |
加齢(皮膚萎縮)、摩擦 |
摩擦の除去と紫外線予防の徹底 レチノールやトレチノインを含む製品を使用しない。 基礎化粧品を3アイテムまでにする。 洗浄力の強い洗顔料を使用しない。 |
フォトフェイシャルM22+スキンケア指導 Vフェイシャル 加齢による菲薄化(皮膚萎縮)の場合、プロファイロ |
| 血管拡張 | 加齢、肌質 | 加齢が理由の場合、摩擦の除去と紫外線予防の徹底 |
(小範囲の場合)毛細血管拡張症レーザー治療 (広範囲の場合)Vフェイシャル |
|
スキントーン (皮膚メラニン量) |
肌質 |
紫外線予防の徹底 摩擦の除去 |
Vフェイシャル ※肌質による赤ら顔は、明確な治療対象が無いため、治療効果の予測が困難です。 |
12.赤ら顔治療メニュー一覧
※施術名をクリックすると料金のページにリンクします。
| メニュー名 | 適応の症状 | 作用機序 | 治療間隔 | 効果判定までの回数 |
| レーザーフェイシャル |
赤ニキビ 白ニキビ ニキビ+赤いニキビ跡 皮脂過多 |
皮脂腺にダメージを与えることで、皮脂が減少する。 顔脱毛となり皮膚の清潔保ちやすくなる。 |
1か月(最短4週間) | 3~5回 |
| ポテンツァマックーム |
赤いニキビ跡 肌質による赤ら顔 菲薄化 |
マックームを導入することで、真皮のリモデリングが起こり、拡張血管と炎症性物質の放出が減少すると考えられている。 新しいコラーゲン(白色物質)の増加により肌が白く見えるようになる。 |
2か月(最短8週間) | 2回 |
| ポテンツァニードルRF |
皮脂過多 赤いニキビ跡 肌質による赤ら顔 |
皮脂腺にダメージを与えることで皮脂が減少する。 真皮に微細な熱傷を作ることで、新しいコラーゲン(白色物質)がつくられ肌が白く見えるようになる。 |
1か月(最短4週間) | 3回 |
| Vフェイシャル |
菲薄化 肌質による赤ら顔 広範囲の毛細血管拡張症 |
真皮上層の毛細血管を損傷または破壊することで、毛細血管に起因する顔の赤みの症状を改善する。 | 1か月(最短4週間) | 3回 |
|
毛細血管拡張症<小範囲> 色素レーザー治療 |
部分的な毛細血管拡張症 | 明らかに目視できる真皮上層にある毛細血管拡張を破壊または損傷することで、毛細血管が消失または目立ちづらくなる。 | 1か月(最短4週間) | 2回 |
|
+スキンケア指導 |
菲薄化 | フォトフェイシャルによる肌の若返り効果とスキンケア指導により、薄くなった肌を改善する。比較的マイルドな治療で、菲薄化している肌には第一選択の治療。 | 2か月(最短8週間) | 2回 |
| プロファイロ | 加齢による菲薄化 | 真皮のリモデリングと皮下脂肪の増加により肌にハリ(厚み)がでる。 | 1か月(最短4週間) | 2回 |
13.執筆・監修・更新情報

この記事の執筆者
豊福 一朋医師
公益社団法人日本皮膚科学会認定
皮膚科専門医/医学博士/経営管理学修士(MBA)
メッセージ
顔が赤いので皮膚科や美容クリニックを受診すると、パッとか顔をみただけで「赤ら顔=酒さ」と診断されVビームで治療される方が非常に多くいらっしゃいます。酒さは日本人にはまれな疾患です。そして“本当の酒さ”にはVビームは効果がありません。赤ら顔の治療では診断が大事です。Vビーム、レーザーフェイシャルはニキビの跡の赤みに効果があります。毛細血管拡張症ではVビームが効きます。中年以降の男性、女性ではニキビの跡の赤みや毛細血管拡張症を除くと、赤ら顔の多くは顔の擦りすぎで皮膚に菲薄化がおこって赤くなっています。また、摩擦が原因なので肝斑と同時に存在することが多いものです。この場合はむしろフォトフェイシャルが効きます。赤ら顔の治療では診断を重視してください。
経歴
- 1991年
長崎大学医学部卒業
- 1991年
長崎大学病院泌尿器科、九州大学病院皮膚科にて卒後研修
- 1994年
九州大学大学院医学研究科入学。
同年、カナダ医学奨学金(Royal Canadian Medical Foundation)にて
カナダ・アルバータ州立大学皮膚科(エドモントン)に留学 - 1997年
九州中央病院皮膚科医長
- 1998年
九州大学大学院医学研究科修了(医学博士)
- 1999年
米国国立衛生研究所(NIH)(メリーランド州ベセスダ)研究員
- 2001年
佐賀県立病院皮膚科医長
- 2002年〜2004年
慶應義塾大学大学院経営管理研究科(MBA)
- 2005年
山手皮膚科クリニックを開設

